山陽エリア釣果情報
岡山エリア
岡山平井店
岡山妹尾店
広島エリア
総本店
商工センター店
八木店
東広島店
呉店
福山店
サファ福山西店
三次店
山口エリア
岩国通津店
大島店
下松店
防府店
山陽エリア店舗ブログ
岡山エリア
岡山平井店
岡山妹尾店
広島エリア
総本店
商工センター店
八木店
呉店
福山店
東広島店
サファ福山西店
三次店
山口エリア
岩国通津店
大島店
下松店
防府店
他エリア釣果&ブログ
関東・東海エリア
山陰エリア
北九州エリア
南九州エリア
かめや釣具メインサイト
イベント・大会・セール情報
店舗案内
かめや釣具山陽エリア釣果情報
検索
menu
メインサイト
釣果
岡山エリア
岡山平井店
岡山妹尾店
広島エリア
総本店
商工センター店
五日市店
八木店
東広島店
呉店
福山店
サファ福山西店
三次店
山口エリア
岩国通津店
大島店
下松店
防府店
ブログ
岡山エリア
岡山平井店
岡山妹尾店
広島エリア
総本店
商工センター店
五日市店
八木店
呉店
東広島店
福山店
サファ福山西店
三次店
山口エリア
岩国通津店
大島店
下松店
防府店
イベント情報
店舗案内
and
or
店舗から選ぶ
岡山エリア
岡山平井店
岡山妹尾店
広島エリア
五日市店
総本店
商工センター店
八木店
東広島店
呉店
福山店
サファ福山西店
三次店
山口エリア
岩国通津店
大島店
下松店
防府店
釣り場から選ぶ
山陽エリア
広島県
山口県
兵庫県
岡山県
山陰エリア
島根県
鳥取県
四国エリア
愛媛県
香川県
高知県
徳島県
九州エリア
福岡県
佐賀県
長崎県
魚種から選ぶ
海水
アイナメ
アカハタ
アコウ
アジ
アナゴ
アマダイ
イカ
アオリイカ
ケンサキイカ
コウイカ
スルメイカ
ウッカリカサゴ
ウマヅラハギ
ウルメイワシ
イサキ
石鯛
イワシ
エソ
オオニベ
カサゴ・アラカブ
カナガシラ
カマス
カレイ
カワハギ
カンパチ
キス
キビレ
キュウセン
クエ
グレ
クログチ
クロダイ/チヌ
コイワシ
コノシロ
コブダイ/寒鯛
サバ
サヨリ
サワラ
シイラ
スズキ・シーバス
瀬戸鯛
ソイ
タコ
太刀魚
タチウオ
チダイ
チヌ
ニベ
ハゼ
ハマフエフキ/タマン
ヒイラギ
ヒラスズキ/セイゴ
ヒラマサ
ヒラメ
ホウボウ
マゴチ
真鯛
マトウダイ
ママカリ/サッパ
メバル
ヤズ・ハマチ・ブリ
ワタリガニ
ワニゴチ
淡水
ワカサギ
アマゴ
アユ
うなぎ
コイ
タナゴ
テナガエビ
トラウト
なまず
ニジマス
ブラックバス
ヘラブナ/ゲンゴロウブナ
ヤマメ
ホーム
釣果情報
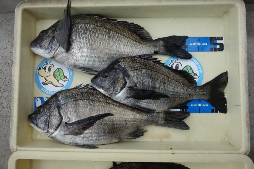
チヌが良く釣れています!
ページ印刷
大島店
山口エリア
チヌが良く釣れています!
2026.04.25
釣行日
令和8年4月20日
釣行場所
周防大島
釣果
チヌ
タックル
フカセ釣りでよく釣れています!
大島店情報
TEL.0820-79-2626
店舗案内
イベント
大会
SALE
Tweet
Share
RSS
Pin it
真鯛釣果
関連記事
アジングと太刀魚のウキ釣り釣果を頂きました!!
アジにサバに真鯛にウマヅラにキスが釣れています!
真鯛の釣果
このページをスマホで表示