フカセ釣りが激アツ!!!!

みなさまこんにちわ!

こんばんわ!!!

おはようございます!!!!!

もうすぐでゴールデンウィークですね~(*´▽`*)

今年のゴールデンウィークも是非周防大島へ来て下さいね!!!!

さてさてそんなゴールデンウィークですがまずは営業時間のご案内です(/・ω・)/

今年ももちろん休まず!!!!営業します!!!!

気合入れて皆様の魚釣りを全力でサポートしますよ☺

その為には釣果情報の収集ですね!!!!

今年は特にフカセ釣りが周防大島では激アツですよ!!!!!

そんなここ最近の釣果をお伝えしますね(*´▽`*)

まずは・・・・・

今年も絶好調のグレ!

特にここ2、3年は????

波止から40㎝オーバーの良型も釣れています(*´▽`*)

フカセ釣りではいろいろな魚が釣れるのも魅力の一つです(*´▽`*)

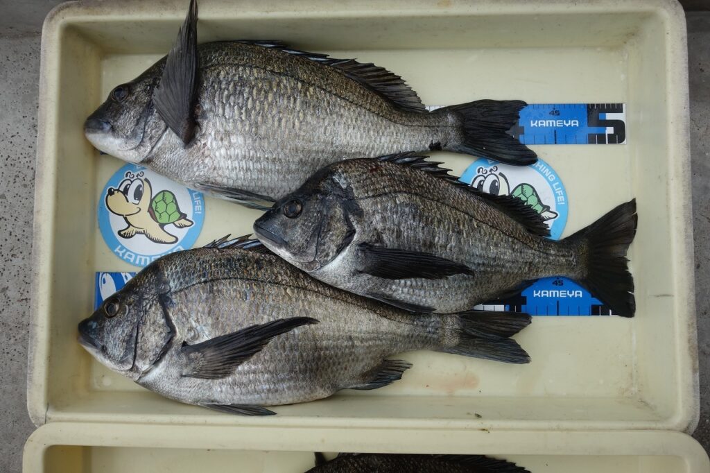
チヌにグレにウマヅラハギまでも(*´▽`*)

そして真鯛も釣れちゃいます!!!!!!!

そしてそしてこの時期と言えば・・・・・

チヌの数釣りも楽しめますよ☺

皆様是非今年のゴールデンウィークはフカセ釣りで決まり???ですね(*´▽`*)

そして当店ではフカセ釣りを簡単に始められる様に・・・・

簡単!ウキ釣り仕掛けセットもあります(*´▽`*)

そしてフカセ釣りと言えばエサですね!!!

撒き餌も・・・・

初めからオキアミ生とアミエビ、そして集魚剤を混ぜてある!これは便利な餌も売ってます(*´▽`*)

初心者のお客様も安心!!!

皆様是非ゴールデンウィークは

フカセ釣りです!!!!!!!

 

それではこのあたりで・・・・・

 

 

次のブログでは奇跡の!!!!

をお送りすまね♪

 

 

明日の船釣りは中止だろなあ★まえかわ★

関連記事

  1. 3連休は釣りに行こう!

  2. スーパーライトジギングにおすすめ!

  3. 新商品入荷のお知らせ!

このページをスマホで表示

QR Code