HOME > 釣果情報一覧 >  庵治方面でのフカセ釣りにて
庵治方面でのフカセ釣りにて
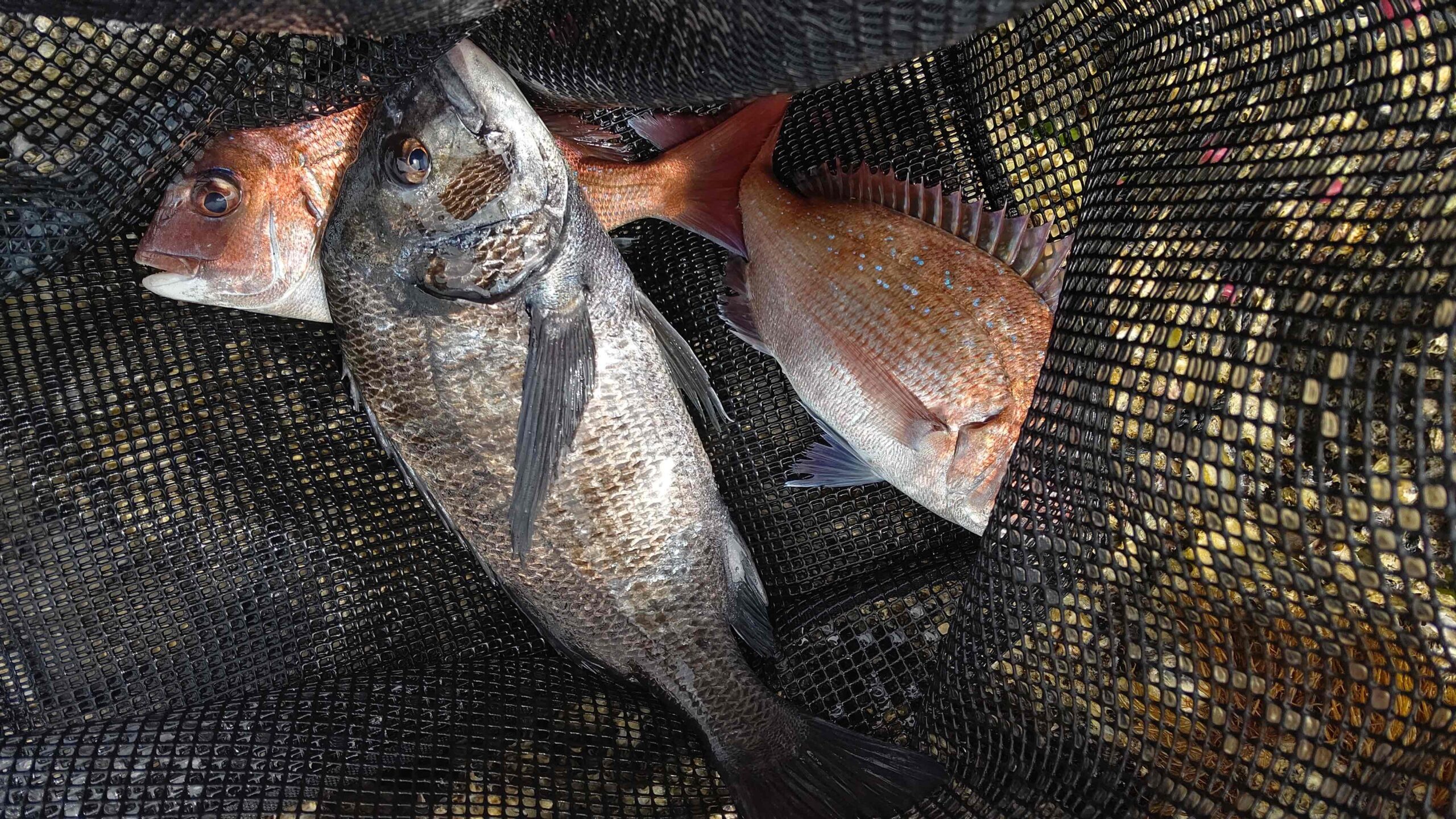
黒鯛
40㎝まで
1匹~3匹

釣行場所

庵治方面

釣り方

フカセ釣り

タックル

磯竿:0.6号-530

リール:2500番リール

ライン:1.75号

ハリス:1.2号

集魚材:黒鯛集魚剤2袋

オキアミ3キロ

サシエ:オキアミ 練りエサ

掲載店

庵治方面でのフカセ釣りにて、時折真鯛も混じりますが

黒鯛も釣れております。活性は非常に渋いので、練りエサで

基本底攻めで攻めると良いと思います。

集魚材も比重重ためで、少し遠投した方が良いです。

高松屋島店