HOME > 釣果情報一覧 >  フカセ釣りにて黒鯛・マダイ
フカセ釣りにて黒鯛・マダイ
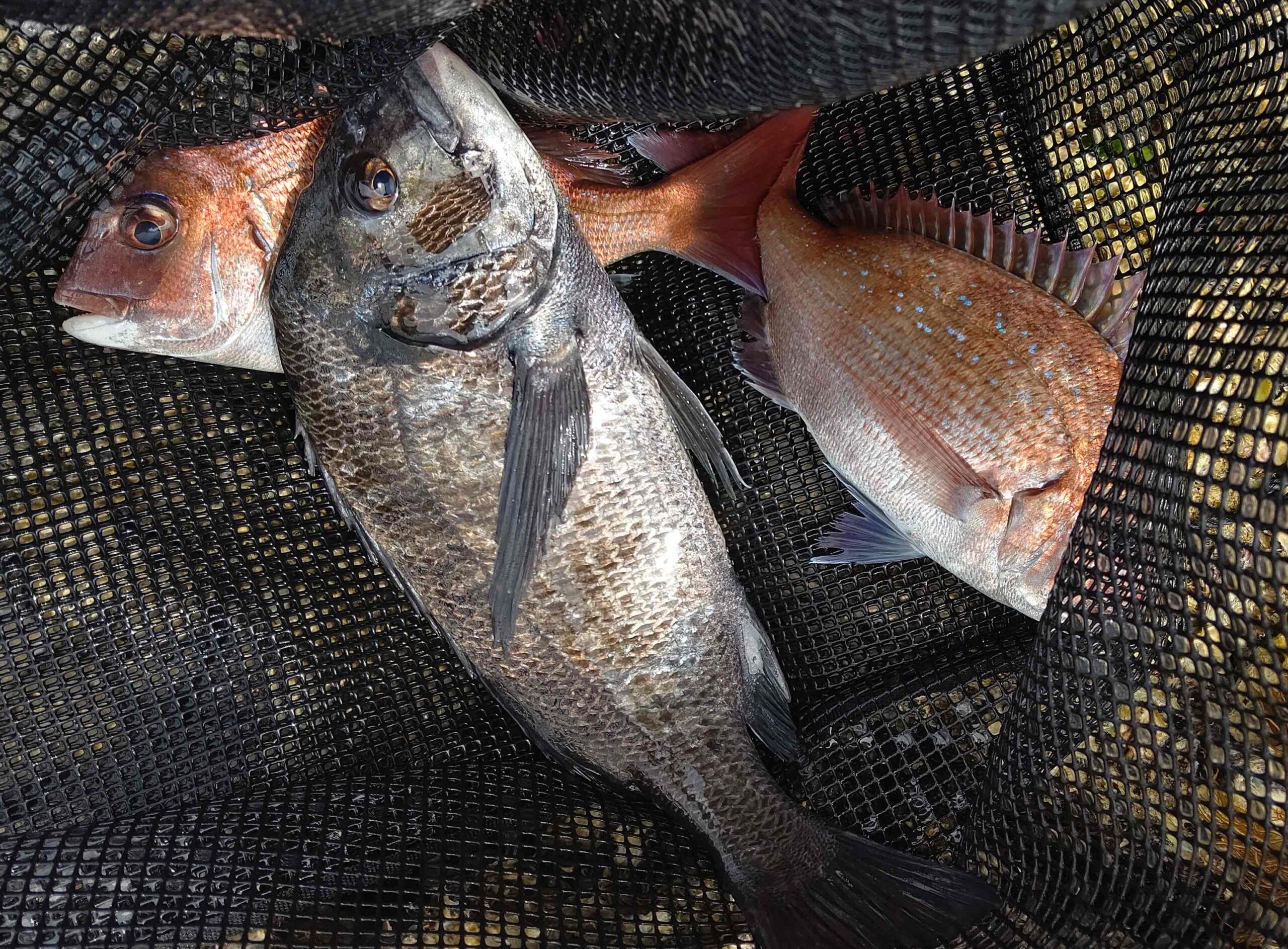
黒鯛・マダイ
45㎝まで
黒鯛1匹 真鯛2匹

釣行場所

高松方面 磯場

釣り方

フカセ釣り

タックル

磯竿:0号-530

リール:2500番

ライン:1.75号 ハリス1.2号

鈎:黒鯛鈎2号~3号

マキエサ:オキアミ3㎏

黒鯛用集魚剤2袋

掲載店

水温が低くなっておりますが、まだまだ黒鯛の釣果が

出ております。サイズは45㎝までで、時折真鯛も

混じっております。サシエサは練り餌が反応が良い

ですが、潮が緩い時にはオキアミも良い感じとの事です。

エサ取りも減ってきておりますので、これからはグレの

釣果も期待できるかと思います。

高松屋島店