山陰エリア釣果情報
山陰エリア一覧
鳥取店
米子店
浜田店
出雲店
松江店
山陰エリア店舗ブログ
鳥取店
米子店
浜田店
出雲店
松江店
他エリア釣果&ブログ
関東・東海エリア
山陽エリア
北九州エリア
南九州エリア
かめや釣具メインサイト
イベント情報
店舗案内
かめや釣具山陰エリア釣果情報
検索
menu
メインサイト
釣果
鳥取店
米子店
浜田店
出雲店
松江店
ブログ
鳥取店
米子店
浜田店
出雲店
松江店
イベント情報
店舗案内
and
or
店舗から選ぶ
山陰エリア
鳥取県
鳥取店
米子店
島根県
浜田店
出雲店
松江店
釣り場から選ぶ
広島県
山口県
岡山県
鳥取県
島根県
兵庫県
徳島県
愛媛県
香川県
高知県
福岡県
佐賀県
長崎県
魚種から選ぶ
海水
アイナメ
アオハタ
アカヒラ
アカミズ
アコウ・キジハタ
アジ
アナゴ
アマダイ
アヤメカサゴ
イカ
アオリイカ
アカイカ
ケンサキイカ
カミナリイカ
コウイカ
シロイカ
スルメイカ
ソデイカ
モンゴウイカ
ヤリイカ
イサキ
イシガキダイ
イシガレイ
石鯛
イワシ
ウッカリカサゴ
ウマヅラハギ
オニオコゼ
カサゴ・アラカブ
カマス
カレイ
カワハギ
カンパチ
キジハタ
キス
キビレ
ギンザケ
金フグ
クエ
グレ
クロソイ
クロダイ/チヌ
クロムツ
クロメジナ・尾長グレ
コイワシ
コチ
コノシロ
コブダイ
サゴシ
サバ
サヨリ
サワラ
サンバソウ
シイラ
シマカツオ
シロギス
スズキ・シーバス
セイゴ
タイ
タコ
太刀魚
ダツ
ダンダラ
チヌ
チャリコ
ツバス
トラフグ
ハゼ
ハモ
ヒイラギ・エノハ
ヒラスズキ
ヒラマサ
ヒラメ
ブリ
ヘダイ
ベラ
マコガレイ
マゴチ
マハタ
マルスズキ
メゴチ
メダイ
ホウボウ
マルゴ
真鯛
メバル
メジナ・口太グレ
ヤズ・ハマチ・ブリ
ワカナ
淡水
タナゴ
アメマス
アマゴ
アユ
イワナ
うなぎ
ゴギ
サクラマス
テナガエビ
トラウト
なまず
ニジマス
ブラックバス
ヤマメ
ホーム
釣果情報
三隅港公共岸壁 マアジ
ページ印刷
浜田店
山陰エリア
島根県
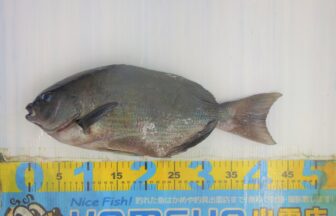
三隅港公共岸壁 マアジ
2025.02.14
釣行日
R7年2月13日
釣行場所
三隅港公共岸壁
釣果
マアジ 25~30cm×20尾
タックル
浜田店情報
TEL.0855-24-7077
店舗案内
イベント
大会
SALE
Tweet
Share
RSS
Pin it
2025.02.12 ヤリイカ 島根半島
2025/02/02 隠岐 真鯛、鰤
関連記事
2022/01/06 シーバス 70cmちょっと 4キロ弱 差海サーフ
2019.10.27 鷺浦沖磯 ヒラマサ
2023.11.19シーバス
このページをスマホで表示